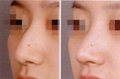
隆鼻失败简介
随着整形美容的发展,隆鼻成为了拯救塌鼻子的方案,受到广大爱美人士的青睐。然而万千成功的隆鼻手术中也不乏有失败和对术后效果不满意的案例,其中,造成隆鼻失败的原因主要包括注射不合格材料、术后严重的排异反应、假体穿出、鼻假体轮廓显露等等;而对于术后效果不满意的求美者来说,如有需求也可以将填充材料取出或重新植入。总之,不成功的隆鼻手术不仅打击了求美者的自信心,更随之带来了极大的痛苦。
隆鼻失败修复术主要是针对各种原因所致的隆鼻后出现严重不良反应或者形态不佳而进行的相关修复治疗。隆鼻失败修复术与隆鼻手术相比难度较大,所以建议求美者在治疗前一定不能盲目,要找到有相关资质的机构和经验丰富的医生进行治疗。

1. 注射隆鼻失败
① 皮肤破溃:注射材料质地过硬或非法注射材料都有可能在注射后材料顶出导致皮肤破溃。
② 反复感染:一般指注射过程中发生感染或者是注射非法材料而无法完全清除导致的组织反复感染和游移。
③ 鼻部皮肤颜色异常:若鼻部注射物的质地过硬、剂量过大或者注射过程中损伤血管都有可能导致注射后鼻部皮肤颜色异常,如发红、青紫、发白等。
④ 排异反应:注射过程不是在无菌环境下有可能导致多种排异反应,如组织肿胀和硬结等。
⑤ 注射后形态不佳:该症状可能涉及的因素较多,与鼻部基础形态、选择的材料、注射技法、医生经验等都有关系。
2. 硅胶假体隆鼻失败
① 假体穿出:硅胶假体过硬、固定层次表浅就有可能导致术后假体轮廓显露,更有甚者硅胶假体破皮而出,导致皮肤破溃。
② 鼻部皮肤颜色异常:若假体位置固定位置不当对组织造成压迫或者植入过程中对组织损伤过大都有可能引发的皮肤发白发青或者透光症状。
③ 局部组织炎症反应:硅胶假体隆鼻后的常见不良反应,短期内需耐心观察,若长期存在则需就医治疗。
④ 形态不佳:该症状可能涉及的因素较多,与鼻部基础形态、选择的材料、注射技法、医生经验等都有关系。
3. 膨体隆鼻失败
① 严重感染及鼻组织硬化:由临床案例表明,膨体材料植入一段时间有可能导致感染及鼻组织硬化现象的发生。
② 外形不佳:假体植入层次不恰当。

1. 标签:手术
2. 技术原理
注射隆鼻是目前创伤小,逐渐受到更多青睐的隆鼻方式,但是注射隆鼻也有不理想的状况发生。注射隆鼻取出主要是针对各种原因所致的注射隆鼻后皮肤破溃、反复感染、皮肤颜色异常、以及术后效果不理想等情况而进行的相关修复治疗。对于注射隆鼻后有严重不良反应者需要通过手术方式将注射物程度的取出,而对于注射隆鼻后形态不佳者需要常需将注射材料溶解或者耐心等待其自行代谢消失。适应人群和禁忌人群
1) 适应人群
① 感染无法控制需要取出者。
② 出现无法自行消退的排异反应者。
③ 其它严重并发症医生认为应该取出者。
④ 效果不理想导致受术者心理压力过重,已经影响正常生活需要取出者。
2) 禁忌人群
① 鼻组织周围有炎症者。
② 心、肝、肾等重要器官及血液、免疫系统有病变者。
③ 对手术心理准备不足者。
④ 月经期及哺乳期妇女。
3. 费用: 5000元-10000左右
4. 技术方法
① 对于玻尿酸、胶原蛋白类注射物,一般不会出现严重的不良反应,若形态不理想且急于修复,玻尿酸易于通过玻璃酸酶进行溶解,而对于胶原蛋白目前没有直接溶解的相关酶,可等待其自行代谢后重新注射。
② 对于奥美定、爱贝芙、人工骨粉等注射材料引发的隆鼻失败一般需通过手术的方式将注射层次剥离开,通过专业器械将其清除。
5. 风险和并发症
① 感染:注射材料取出过程中尽管反复冲洗植入腔隙,也存在感染的可能,一旦发生感染,应及时就医治疗。
② 形态不理想:注射材料取出后,短期内鼻部形态可能较为异常,一般1-3个月后会逐渐恢复,如有需要,也可在注射材料取出的同时进行第二次隆鼻。
③ 鼻功能障碍:注射材料取出过程中有可能对鼻组织内的血管、神经等组织造成损伤,进而对鼻部常规功能有一定的影响,一般短期内可逐渐恢复,否则需及时就医。
④ 二次隆鼻失败:低于注射隆鼻失败后鼻部组织受到不同程度的创伤,有可能对二次隆鼻的术后效果造成一定的局限性,增大了二次隆鼻失败的可能性。
6. 恢复时间
恢复时间根据患者的自身情况而存在差异,一般为2周-1个月才能恢复正常生活,也有部分受术者更长时间才能恢复正常的工作生活。
7. 注意事项
① 手术前确定身体健康,无传染病或其他身体炎症。
② 注射隆鼻材料取出后3个月内禁止对鼻部组织有过度挤压等行为。
③ 注意鼻腔清洁。
④ 术后近期不能吃刺激性食物。
⑤ 遵照医生交代的注意事项。

1. 标签:手术
2. 技术原理
硅胶假体隆鼻失败主要是针对各种原因所致的硅胶假体隆鼻后皮肤破溃、假体穿出、假体外形显露以及术后形态不满意等情况而进行的相关调整修复治疗。一般需要通过手术方式将硅胶假体取出或根据具体情况对假体所在的层次、位置及假体形状等稍加调整,另外,求美者也可根据需要植入新的假体。
3. 费用:9000-20000元
4. 适宜人群及禁忌人群
1) 适应人群
① 硅胶假体破皮穿出。
② 鼻组织发生无法自行消退的排异反应。
③ 鼻部皮肤颜色异常。
④ 效果不理想导致受术者心理压力过重,已经影响正常生活需要取出者。
2) 禁忌人群
⑤ 鼻组织周围有炎症者。
⑥ 心、肝、肾等重要器官及血液、免疫系统有病变者。
⑦ 对手术心理准备不足者。
⑧ 月经期及哺乳期妇女。
5. 手术方法
1) 对于硅胶假体隆鼻后出现透光感、假体轮廓显露或者歪斜等症状需要将硅胶假体取出,一般分为如下两种情况:
① 若假体的放置层次较浅且筋膜层完整无破坏,则可以在假体取出后立即进行新假体的植入;
② 若筋膜层有所损坏,则需要在6个月后在进行新假体的植入。
2) 如果假体植入后引发感染,则需要直接从原切口再次切开并剥离到假体植入层次后,将硅胶假体取出,而后需向鼻腔内灌注生理盐水消毒,若感染程度较轻也可以口服、点滴或者外敷抗生素类药物加以消炎。
6. 风险和并发症
1) 感染:硅胶假体取出过程中尽管反复冲洗植入腔隙,也存在感染的可能,一旦发生感染,应及时就医治疗。
2) 形态不理想:硅胶取出后,短期内鼻部形态可能较为异常,回到鼻背低平的状态,如有需要,也可在3-6个月鼻组织恢复完全后进行二次隆鼻。
3) 鼻功能障碍:硅胶取出过程中有可能对鼻组织内的血管、神经等组织造成损伤,进而对鼻部常规功能有一定的影响,一般短期内可逐渐恢复,否则需及时就医。
4) 二次隆鼻失败:若在隆鼻失败修复治疗的同时进行隆鼻,二次失败的可能性较大。
7. 恢复时间
术后恢复时间一般为3-5天,但不同的求美者自身体质也有所差异,所以恢复时间也会随之改变。
1. 注意事项
① 手术前确定身体健康,无传染病或其他身体炎症。
② 硅胶取出后3个月内禁止对鼻部组织有过度挤压等行为。
③ 注意鼻腔清洁。
④ 术后近期不能吃刺激性食物。
⑤ 遵照医生交代的注意事项。

1. 标签:手术
2. 技术原理
隆鼻膨体取出是针对膨体隆鼻失败的一种修复方法,由于膨体材料的特殊性,植入一段时间后常见的失败症状就是严重的感染和鼻组织硬化,而外形不佳、不消除的排异反应等症状也有发生可能。隆鼻膨体取出主要的修复方式就是将膨体材料通过手术方法取出。
3. 适应人群和禁忌人群
3) 适应人群
① 隆鼻后诱发严重感染现象;
② 鼻组织硬化,影响鼻组织形态者;
③ 受术者对隆鼻后效果不满意,要求取出者。
4) 禁忌人群
① 切口附近有炎症者。
② 心、肝、肾等重要器官及血液、免疫系统有病变者。
③ 对手术心理准备不足者。
④ 月经期及哺乳期妇女。
4. 费用:4000-10000元
5. 技术方法:由于感染是膨体隆鼻为常见的并发症,所以临床中一般视情况按照原隆鼻切口切开,而后剥离出膨体所在腔隙并将其取出,基于膨体材料的特殊性,术中会携带部分的自身组织,假体取出后需进行生理盐水灌注消毒,短期内不适宜植入新的假体,一般需6个月以后视情况进行二次隆鼻。
6. 风险和并发症
① 感染:包膜打开过程中有可能造成腔隙感染,一旦发生感染,应及时就医治疗。
② 鼻组织损伤:膨体材料具有其特殊性,所以植入后会于其周围组织互相渗透黏连,所以取出过程中有可能去除不同程度的携带自身鼻组织,使鼻组织含量降低,给二次隆鼻带来一定程度的困扰。
③ 组织黏连:游离的纤维组织间可能发生黏连,或伴有疼痛,一旦发现应及时就医处理。
④ 鼻部形态异常:膨体取出后造成鼻部形态不如术前。
7. 恢复时间
恢复时间根据患者的自身情况而存在差异,部分受术者可在1-2周内恢复,也有部分受术者所需的恢复时间更长。
8. 注意事项
① 手术前确定身体健康,无传染病或其他身体炎症。
② 膨体材料取出后3个月内禁止对鼻部组织有过度挤压等行为。
③ 注意鼻腔清洁。
④ 术后近期不能吃刺激性食物。
⑤ 遵照医生交代的注意事项。
2021-11-18鼻部失败修复后的效果怎么样

对于一些鼻子整形失败的求美者来说,不仅要承受心理压力,也会让自己很不自信,但如果选择鼻部修复术实现自己的美也不是没有办法,所以在选择二次修复一定要重视,不要盲目,下面就跟小编一起来看看修复后效果怎么样
2021-11-17鼻部失败修复手术效果好不好

鼻子也是五官中最重要的部分,影响着整体面部的美丽,由于生活中太多人对自己的鼻子不够满意,想要通过隆鼻手术来实现美鼻,但因各种因素导致隆鼻失败,于是内心很痛苦,因此,鼻部失败修复手术的出现,给求美者带来
2021-11-17鼻部整形修复的方法有哪些

“美”这个字,是很多人一生追求的,所以现在很多爱美人士对自己不满意的部位通过医疗技术来改善,目前,隆鼻手术是如今很受欢迎的一个手术之一,虽然技术方面越来越精湛,但是因一些因素会导致求美者术后对鼻子不够
2021-11-17鼻部失败修复多少钱

本身做隆鼻手术的难度也不是特别的大,但是由于很多因素导致鼻子出现了失败现象,让爱美人士很难过,因此,想要还原一个高挺美丽的鼻子,可以选择鼻部失败修复来改善,那么,鼻部失败修复多少钱呢我想也是求美者很关
2016-12-09隆鼻失败的表现有哪些

隆鼻失败的朋友也知道他们之所以隆鼻失败除了客观原因之外,自己主观上对这个小整形手术术前的不够重视,在术后没有好好注意事项,隆鼻失败的表现有哪些?我想这是很多求美者想要了解的,下面就有请专家来为大家具体解答一下吧。
2016-11-29隆鼻失败修复有什么方法

隆鼻之后由于形态和高度的不适应导致隆鼻失败,但由于要修复鼻子,所以很多隆鼻失败者变得敏感,不知道怎么选择什么修复方式来拯救鼻子,那么下面就跟小编一起来文章寻找答案吧。
2016-11-25影响鼻部修复手术价格的因素有哪些

如果有缺失或者塌陷的情况就会影响鼻子的通气,为了使得鼻子能够再次回到最佳状态,那么选择鼻部修复术来实现,因此很多求美者都担心鼻部修复术价格会不会贵?就跟小编一起来寻找答案吧。
2016-10-21隆鼻失败修复手术费用是多少

在第一次隆鼻不够完美时,别急躁别负面情绪,隆鼻修复手术也存在一定的风险,失败了也是难免的,要及时进行隆鼻失败修复,但是都很想知道隆鼻修复需要多少钱,下面小编带你来好好了解下隆鼻失败修复手术费用是多少?
2016-10-11隆鼻修复手术优点有哪些

做了隆鼻手术,在之前呢没了解好情况或者医师手术技巧不够好,隆鼻效果有点不满意,只好选择二次修复,隆鼻修复可以在一次完美鼻子,那么,隆鼻修复术有哪些有点呢,跟小编一起来看看吧。
2016-10-08隆鼻失败修复术后护理

为了让自己的鼻子跟脸部平衡,大多数人对自己的鼻子不够满意都选择隆鼻手术,但是做了都会不满意,总觉得哪里不对,就想要修复自己的鼻子,如果修复完一定要注意术后护理才能让鼻子更完美了,下面跟小编一起来了解下隆鼻修复手术注意哪些术后护理吧。
蜀ICP备19040417号-1 形美网 形美网官网 版权所有
Copyright © www.xingmeizx.com. All Rights Reserved.